
Chadds Ford Township Supervisors’ Chairman Frank Murphy continues to hold fast to a position he took months ago. He won’t sign off on highway improvements proposed by the Pettinaro Co. as part of a commercial development in Concord Township.
“I’m not signing it,” Murphy told residents who attended an informational meeting Monday night.
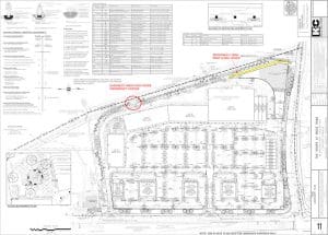
At issue is a commercial development — the Shops at Ridge Road — approved by Concord Township supervisors in 2008 and re-affirmed in 2014 for the 25-plus acre lot at Route 202 and Ridge Road. A condition of the approval — Condition 19 on Concord’s resolution — is that Chadds Ford Township agrees in writing to proposed highway improvements on Ridge Road, one of the borders between the two townships.
Those proposed improvements for the development include using Ridge Road for the main entrance to the property and for widening Ridge from its current two lanes to six for a stretch of less than a quarter of a mile. That widening would be from the intersection with Route 202 west to the end of the property.

Earlier this year, Chadds Ford supervisors authorized a traffic count for intersections along Route 202 from Route 1 south to Smithbridge Road and along Ridge from 202 to Ring Road. During the May 22 standing room only meeting, township engineer Mike Schneider gave a preliminary report of that count.
Schneider said the idea was to compare current traffic flow with the flow when Pettinaro last studied the traffic in 2014. Part of the preliminary analysis included projecting future traffic to the year 2019. The current numbers include traffic generated by the Wegmans’ development, and the projections include more traffic generated by the proposed Royal Farms convenience store and the relocation of the Concordville Subaru dealership.
He said the numbers were close, but that his rough calculations indicate 10 percent more traffic than Pettinaro’s last count. One of the differences between the two counts, he said, was that Pettinaro did its traffic counts in the summer, while the Chadds Ford count was done during the school year. Among other numbers was a specific count at 202 and Ridge. On April 22, between 5 and 6 p.m. the “p.m. peak hours,” 4,381 vehicles used the intersection of Route 202 and Ridge Road.
Schneider said he would have a fuller analysis ready for the supervisors’ workshop next week, Wednesday, May 31.
Murphy opened the meeting by saying there were things that he couldn’t discuss because of pending and possible future litigation over the matter. He did say, however, that the only thing stopping Pettinaro right now is Chadds Ford and his refusal to sign off on the changes.
Carolyn Daniels, a resident of the Ridings, has been instrumental in forming a group Chadds Ford Neighbors Against More Traffic on Route 202. She said, “Condition 19 is the glue that’s keeping us together.”
Daniels is also a director of the Unionville-Chadds Ford School District and said in response to one question that the district’s Transportation Department is aware of the situation and that it’s director, Marie Wickersham, “is concerned.”
The pending litigation Murphy referenced was reported here.
Pettinaro filed a suit on May 10 against Concord because it did not remove the condition that requires Chadds Ford’s approval. Attorney John Jaros, representing Pettinaro, asked Concord in March to remove that condition. When Concord’s Council voted no, Jaros said he would likely have to ask the court to resolve the matter.
Jaros has argued that the condition should be removed or that the court should rule that Chadds Ford has tacitly accepted the improvements by acknowledging other matters — including stormwater management and traffic light agreements and that Chadds Ford was a co-applicant/co-permittee for the PennDOT Highway Occupancy Permit signed on Sept. 23, 2013.
About Rich Schwartzman
Rich Schwartzman has been reporting on events in the greater Chadds Ford area since September 2001 when he became the founding editor of The Chadds Ford Post. In April 2009 he became managing editor of ChaddsFordLive. He is also an award-winning photographer.










